• Why not take a moment to introduce yourself to our members?

t gallo

Advanced Reefer
Rating - 0%
0   0   0
found my self with at least a school of 300 blue surgeons 8'' plus looking for food in 15' of water in st croix usvi.
 

Attachments

  • blue surgeon's (custom).jpg
    blue surgeon's (custom).jpg
    49.5 KB · Views: 2,322

t gallo

Advanced Reefer
Rating - 0%
0   0   0
here they are , at the end of the school feeding on algae.
 

Attachments

  • st croix surgeon's (custom).jpg
    st croix surgeon's (custom).jpg
    65 KB · Views: 2,319

t gallo

Advanced Reefer
Rating - 0%
0   0   0
some of the reef was destroyed by hurricane hugo, but this acro lived thru it, it was huge.
 

Attachments

  • st croix acro (custom).jpg
    st croix acro (custom).jpg
    51.3 KB · Views: 2,314

t gallo

Advanced Reefer
Rating - 0%
0   0   0
this fish kept his eye on me and was about in 25' of water.
 

Attachments

  • trigger@ corals (custom).jpg
    trigger@ corals (custom).jpg
    66 KB · Views: 2,311
A

Anonymous

Guest
Rating - 0%
0   0   0
Very nice! Thanx for sharing t!

Any idea exactly what kind of trigger that is in the last?? It's been a while since I've had/seen a niger, but I don't recall the white striping...

Thanks again :)
 

t gallo

Advanced Reefer
Rating - 0%
0   0   0
this was on a brite sunny day and you can see what amount of light hits this acro on the upper right side of the pic in about 30' of water.
 

Attachments

  • acro plus 30' (custom).jpg
    acro plus 30' (custom).jpg
    71.1 KB · Views: 2,303

t gallo

Advanced Reefer
Rating - 0%
0   0   0
big colony, in 25' of crystal clear water, camera with low flash and strong back and fourth water motion.
 

Attachments

  • acro colony (custom).jpg
    acro colony (custom).jpg
    74 KB · Views: 2,303
A

Anonymous

Guest
Rating - 0%
0   0   0
Any idea exactly what kind of trigger that is in the last?? It's been a while since I've had/seen a niger, but I don't recall the white striping...

Nigers are from the Pacific- I think this is a Black Durgon, not sure if I spelled it right though.
 

t gallo

Advanced Reefer
Rating - 0%
0   0   0
in about 20' of water and strong current back and forth.
 

Attachments

  • reef's edge (custom).jpg
    reef's edge (custom).jpg
    48.8 KB · Views: 2,288

t gallo

Advanced Reefer
Rating - 0%
0   0   0
on the way to the reefs edge, cane bay wall where the reef drops 3000 plus ft down, this pic is true to life in about 40' of water.
 

Attachments

  • dive pic (custom).jpg
    dive pic (custom).jpg
    30.8 KB · Views: 2,285

t gallo

Advanced Reefer
Rating - 0%
0   0   0
in 20' of water and the bottom of the reef section wich this acro was sitting on went dwn another 10', there was tons of coral islands, under the water it looked like a huge reef tank lol. :eek:
 

Attachments

  • small acro's (custom).jpg
    small acro's (custom).jpg
    72.3 KB · Views: 2,282

t gallo

Advanced Reefer
Rating - 0%
0   0   0
ran into a pipe fish or trumpet fish, and when it saw me about 5' away it went vertical next to the sponge.
 

Attachments

  • sponge@fish (custom).jpg
    sponge@fish (custom).jpg
    51.1 KB · Views: 2,278

t gallo

Advanced Reefer
Rating - 0%
0   0   0
if you look real hard in this pic, on the left hand side toward the bottom i ran into this guy about 40' from me, i know bad pic but it took me by surprise black tip shark about 6' long.
 

Attachments

  • 002_00a (custom).jpg
    002_00a (custom).jpg
    29.9 KB · Views: 2,277

t gallo

Advanced Reefer
Rating - 0%
0   0   0
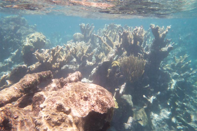
making my way back up from buck island reef. 12' of water and full sun.
 

Attachments

  • 016_13a (custom).jpg
    016_13a (custom).jpg
    64.5 KB · Views: 2,236

t gallo

Advanced Reefer
Rating - 0%
0   0   0
in 12' of water, mild current and lots of sun beyond this pic the reef drops down way down, its kinda earry.
 

Attachments

  • buck island.jpg
    buck island.jpg
    63 KB · Views: 2,234

Tanger

Experienced Reefer
Rating - 0%
0   0   0
Makes me want to go buy some flippers right now!!!!!!!!! I went to Hawaii 2 times and never left the water. Diving must be way better than just snorkeling like I did. The trip to Hawaii was what spurred the reef tank I have now. Sweet pics!!!!!
 

t gallo

Advanced Reefer
Rating - 0%
0   0   0
this parrot fish was huge, and was munching on this yellow acro, cant tell from the pic but this parrot was at least 2' long and full and happy.
 

Attachments

  • parrot fish (custom).jpg
    parrot fish (custom).jpg
    65.6 KB · Views: 2,219

Sponsor Reefs

We're a FREE website, and we exist because of hobbyists like YOU who help us run this community.

Click here to sponsor $10:


Top